전후사진 | 예쁘면 DA야! 디에이성형외과 | 후기

본문 바로가기 헤더 바로가기 퀵메뉴 바로가기 푸터 바로가기
검색 검색 폼

미니리프팅 (SMAS)

0
0
0
0
0
0

리포소닉 히트슬림

1
1

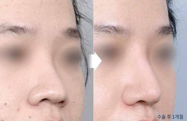
남자코성형 콧볼축소

2
2
2
2
2
2

팔 지방흡입

3
3

아큐스컬프 (이중턱,턱선)

4
4
4
4
4
4

남자코성형 복코+콧볼축소

5
5
5
5
5
5
  • 미니리프팅 (SMAS) 정면
  • 리포소닉 히트슬림 정면
  • 남자코성형 콧볼축소 측면
  • 팔 지방흡입 정면
  • 아큐스컬프 (이중턱,턱선) 정면
  • 남자코성형 복코+콧볼축소 측면

자세히보기
닫기
닫기